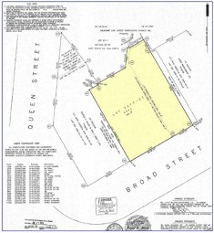
63 Broad Street, Sussex, New Brunswick
$194,900 SOLD

ARTIST CONCEPT
Broad Street has always represented the heart of the town of Sussex It was a lively bustle of friendly meals and small town retail. After a fire in 2012 destroyed several mainstay businesses and residential apartments, the community was heart broken. No one knew what would become of this empty space, this ‘hole’ in the heart of the community.
OPPORTUNITY:


Approx. 1/3 acre of commercial/retail land available for redevelopment. The owners have a vision and mandate to see this parcel of land restored to it’s highest and best use i.e. a mixed use development including such commercial enterprises as restaurants, micro-brewery, and/or retail shops and residential units.
Located in the historic downtown in the town of Sussex, the area serves as the central business district. The area has a mix of local retail shops, professional offices and community services. The downtown has free on-street parking including a parking area in front of the subject lots.