1-3 Gondola Point Road, Rothesay, New Brunswick
$360,000 SOLD

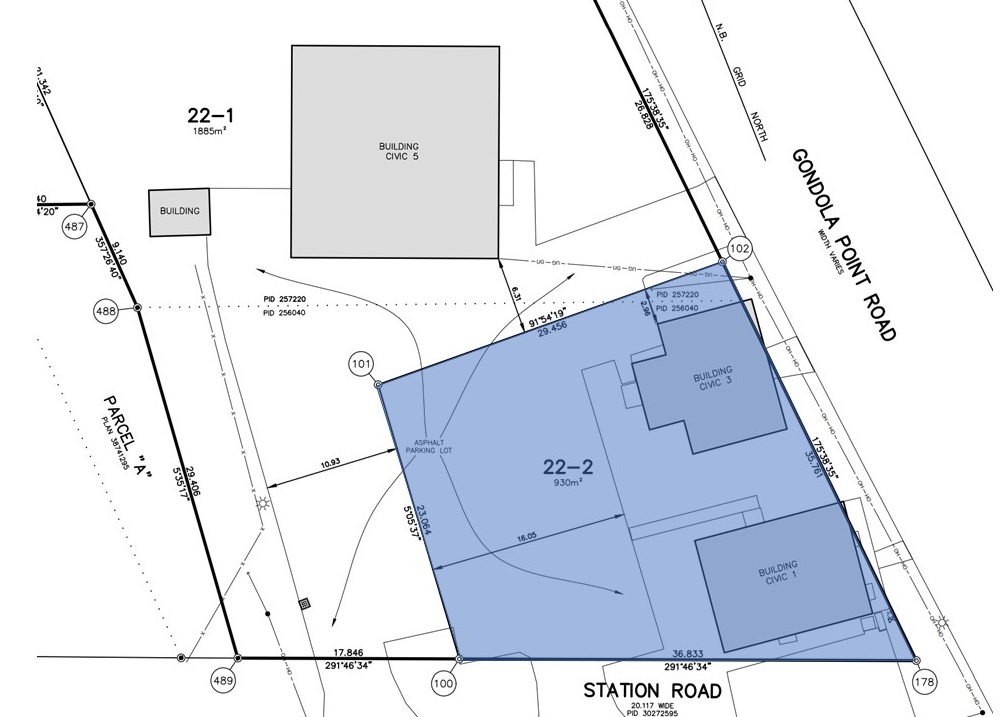
Two buildings & portion of the PID being sold as a package. Property Zoning SA (Special Area/Designated Heritage)
Access to rear parking accessible off Station Street only. The Buyer (at the buyer’s expense) must erect a permanent barrier to separate the parking lot from the balance of the PID. Type of barrier subject to municipal by-laws/approval as well as seller’s approval, not to be unreasonably withheld.
LOCATION – Rothesay is located north of the City of Saint John. The community, with its sister community of Quispamsis, serve as bedroom communities to Saint John and have seen steady growth over the years. The immediate area includes a bank, small cafe, fitness facility, business offices and a recreational park.
Civic address 1 Gondola Point
Built in the early 1900’s, the building boasts 2,400 square feet on 2 floors (1,200 per floor) plus a full basement. Electric fired force air heating system with individual heaters on second floor. 200 amp and 100 amp electrical entrances. Current layout features a main level entry/reception area with open area, 2 private offices, kitchenette and washroom. 2nd level provides 4 additional offices, kitchenette and washroom. Basement is unfinished. Ideal for professional office with some rear parking spots included with the sale.






Civic address 3 – Gondola Point
Built circa 1940’s, this one story building with crawl space totals 1,037 square feet of usable area. Building is divided in half with working spaces on each side and two entrance at front. 2 washrooms and storage/entry area at rear. Note: Roof required attention.
AERIAL VIEW OF LOT BEING OFFERED FOR SALE
(approximate and subject to approval by town of Rothesay)

LOCATION
Rothesay is located north of the City of Saint John. The community, with it’s sister community of Quispamsis, serve as bedroom communities to Saint John and have seen steady growth over the years. The subject property is located at the most southern end of the area’s commercial development in what was once considered the town centre. The immediate area includes a bank, small cafe, fitness facility, business offices and a recreational park.
IMPORANT INFORMATION REGARDING PROPERTY ACCESS
The sale of the property is conditional on the buyer acknowledging that the existing Gondola Point Road entrance shall be for the exclusive use of Bell Canada (“Seller”) and that no easements or right-of-ways shall be granted to the buyer. 3 Gondola Point Road is not designated heritage and the Buyer shall have the option to apply for permission from the town to demolish the building to create a new entrance of Gondola Point Road. Should the buyer elect to exercise this option, all costs associated shall be the responsibility of the Buyer. Should the buyer wish to keep #3 Gondola Point Road, then the buyer’s access shall be limited to the side entrance off Station Street.
MAP